조황관리HOME / 조황관리 / 상세정보

제목 : 25.10.06 외수질 조황입니다
등록일 : 2025-10-08
⭐ ⭐ ⭐ ⭐ ⭐ ⭐ ⭐ ⭐ ⭐ ⭐ ⭐ ⭐ ⭐ ⭐

#조황 #6일(월) #붉바리/다잡아 #외수질

#마릿수좋고~ #어종다양하고~ #손맛좋고~

#8일(수)_외수질 #출항확정 #2자리여유

#KT라우터설치 #Free_Wi-Fi #Another_Level

#Premium_Fishing_Fleet #저세상편의시설

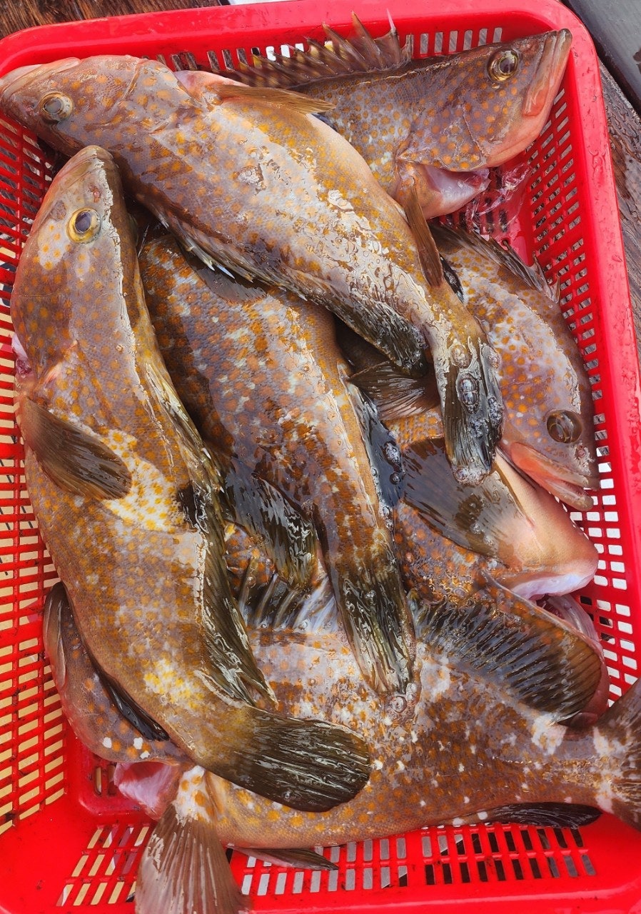
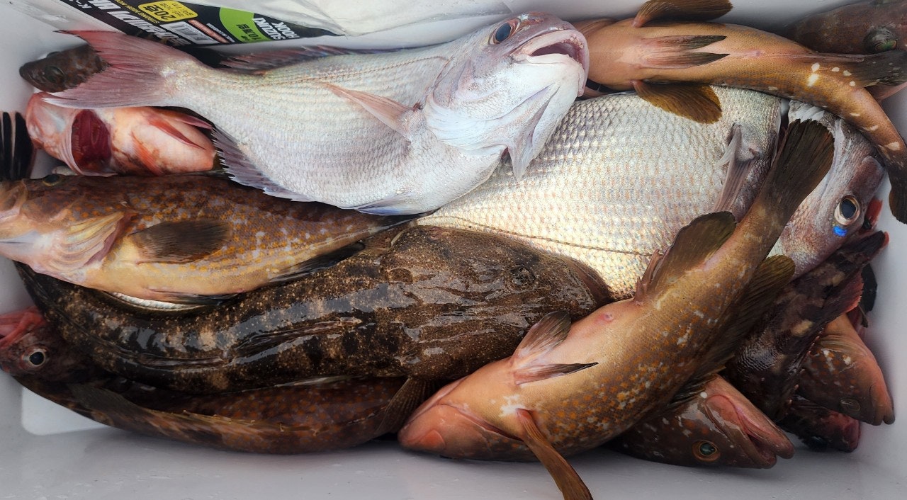
6일(월) 붉바리&다잡아 외수질 조황입니다.

간만에 나간 외수질이라 불안불안 했는데

마릿수도 좋고 사이즈들도 괜찮고~

대멸치 어군이 뜨고 보일링도 보이구요

따라온 알방어들이 많이 붙었고, 참돔 어군도 많이

아직 방어나 참돔이나 사이즈는 크진 않지만

심심하지 않게는 나와줬습니다.

초보조사님들이 대부분이었는데도 다들

재밌게 잘 놀다가 가셨네요^^


추석연휴 8일(수) 외수질 출항확정입니다!

현재 2자리 여유있습니다!!

9일은 기상이 안좋다보니 쉬어 갈 예정이라

시간되시는 분들은 8일 함께하시죠!

????문의 010 2045 3622 , 부재시 010 2323 8660
  • 사용자가 올린 이미지
  • 사용자가 올린 이미지
  • 사용자가 올린 이미지
  • 사용자가 올린 이미지
  • 사용자가 올린 이미지
  • 사용자가 올린 이미지
  • 사용자가 올린 이미지
  • 사용자가 올린 이미지
  • 사용자가 올린 이미지
  • 사용자가 올린 이미지
  • 사용자가 올린 이미지
  • 사용자가 올린 이미지
  • 사용자가 올린 이미지
  • 사용자가 올린 이미지
  • 사용자가 올린 이미지
  • 사용자가 올린 이미지
  • 사용자가 올린 이미지
  • 사용자가 올린 이미지
  • 사용자가 올린 이미지
  • 사용자가 올린 이미지
  • 사용자가 올린 이미지
  • 사용자가 올린 이미지
  • 사용자가 올린 이미지
  • 사용자가 올린 이미지
  • 사용자가 올린 이미지
  • 사용자가 올린 이미지

 ● 마량 스타피싱 예약 안내 ●  


※NOTICE※
유선예약, 네이버페이, 선상24, 밴드 등 예약루트가 다양한 반면
실시간으로 연동이 되지 않아 오버부킹이 될 수 도 있습니다.
예약 후 1일이내 예약완료 문자가 오지 않을 경우 선사에
꼭 예약 확인 바라며, 실시간 예약 현황은
네이버 밴드에서 확인 가능합니다.(하단 밴드 링크 참조) 


예약문의 : 선장 010-2045-3622 , 부재시 010-2323-8660

오시는길 : 전남 강진군 마량면 미항로 169 (낚시 전용 부잔교)

홈페이지 : http://starfishingho.sunsang24.com/

예약현황 : https://band.us/@starfishing
 

모바일.gif 


Top